Skip to main content Skip to page footer
Zurück

Rekonstruktion unter Tage sichert Grubenbaue in Freital

|

News

Rekonstruktion unter Tage sichert Grubenbaue in Freital

|

News

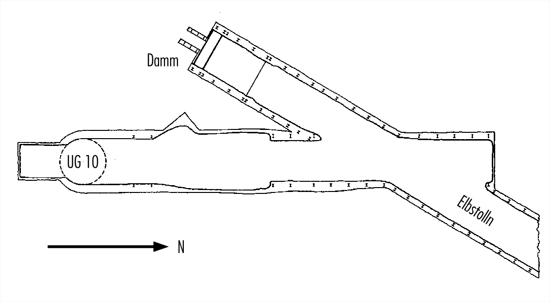
Am Standort Dresden-Gittersee laufen in Freital Sanierungsarbeiten an der Zugangsstrecke vom Untersuchungsgesenk (UG) 10 zum Tiefen Elbstolln.

Ausgangspunkt für die Sanierung sind stark korrodierte Stahlrohr-Stempel und Träger, mit denen die Hauptlast im entfestigten Bereich des Streckenkreuzes zwischen der Zugangsstrecke und dem Tiefen Elbstolln abgetragen wird. Zusätzlich hat Seitendruck des Gebirges zu Deformationen und Rissbildungen im Spritzbetonausbau geführt. 

Die Arbeiten werden durch die Bergsicherung Freital ausgeführt. Sie umfassen den Austausch des korrodierten Stahlausbaus sowie den Rückbau von beschädigtem Spritzbeton. Stöße und Firste (Wände und Decke) werden mit Gebirgsankern stabilisiert und anschließend mit Spritzbeton mit einer Stahlbewehrung verstärkt.

Aus logistischen Gründen und für den Lärmschutz der Anwohner am UG 10 erfolgt der Zugang zur Baustelle nicht über das UG, sondern über den Tiefen Elbstolln. Dafür wurde am Mundloch in Dresden-Cotta die Baustelleneinrichtung aufgebaut.

Das UG 10 ist ein wichtiger Zugangspunkt zu dem aus dem Tiefen Elbstolln und dem WISMUT-Stolln bestehenden Wasserlösesystem der Freitaler Grubenfelder. Ebenfalls wichtig ist seine Funktion für die Bewetterung der Grubenbaue.

 

 

Der Bereich des Streckenkreuzes am Zugang zum UG 10 (links) und dem angenzenden Tiefen Elbstolln muss saniert werden
Grundriss: Streckenkreuz Zugang UG 10 und Tiefer Elbstolln
Die früher eingebauten Stahlrohr-Stempel sind korrodiert
Auch die alten Spritzbetonschalen wiesen durch Gebirgsdruck tiefe Risse auf
Verstärkung des Ausbaus mit Stahlbewehrung und Spritzbeton
Der Zugang zum UG 10 erfolgt über das Mundloch des Elbstollns in Dresden-Cotta
Das Huthaus des UG 10 in Freital-Zauckerode am Fördergerüst vom Schacht 2

Aktuell informiert bleiben

Über unseren Newsletter informieren wir Sie regelmäßig zu Geschehnissen rund um die Wismut. Natürlich ist dieser für Sie kostenlos und kann hier jederzeit wieder abbestellt werden.

Newsletter abonnieren